




+8 photos

1 / 13
$148,000
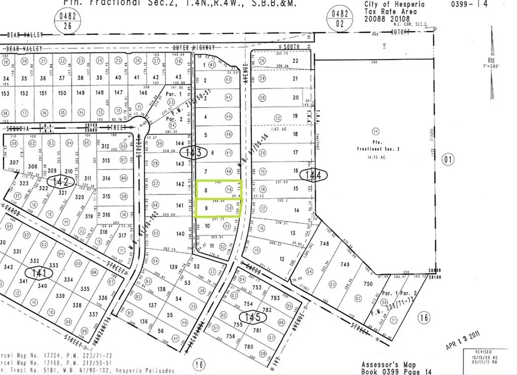
39914350 Jacaranda, Hesperia, Ca 92345
0Beds
1079Days Listed
1Lot Sq Ft
Listed by Jeffrey Nyal, Coldwell Banker Home Source | 760-887-7779
About This Property
***Come VIEW and MAKE an OFFER TODAY! Incredible COMMERCIAL LAND opportunity in the ever expanding city of Hesperia CA. TWO ADJACENT PARCELS for sale as a package totaling 1.136 ACRES (SEE APNs 0399-143-49 & 50). Located on Jacaranda Ave the parcels are less than one block from one of the busiest intersections in the High Desert on Bear Valley Rd. Very close to existing commercial development and within walking distance to Victor Valley Community College the site sees a ton of traffic everyday. Not to mention utilities are running adjacent to the site making this a must see opportunity before it's too late.***
Property Details
- Property Type
- Land
- Bedrooms
- 0
- Bathrooms
- 0
- Building Area
- 0 Sqft
- Living Area
- 0 sqft
- Year Built
- 0
- Status
- Active
- Days on Market
- 1079
- Cumulative Days on Market
- 1073
- Original Price
- $195,000
Location & Neighborhood
What's nearby 39914350 Jacaranda, Hesperia, Ca 92345
Nearby Schools
- Mesa Grande Elementary School0.1 mi
elementary
- Unnamed School0.1 mi
elementary
- Sumney Special School0.2 mi
elementary
Transit Access
- 0.1 mi
- 0.1 mi
- 0.4 mi
- 0.4 mi
POI data updated 2/22/2026
Hesperia Market Snapshot
471
Active Listings
$429K
Median Price
157
Avg Days on Market
Last updated: Feb 27, 2026
Keep Browsing
Based on information from California Regional Multiple Listing Service, Inc. as of the date of this data. This information is for your personal, non-commercial use and may not be used for any purpose other than to identify prospective properties you may be interested in purchasing.
$148,000