



1 / 3
$2,000,000
0 Brians Way, Murrieta, Ca 92563
0Beds
967Days Listed
25Lot Sq Ft
Listed by ERIC WASHLE, COLDWELL BANKER COMMERCIAL SC | 714-323-3862
About This Property
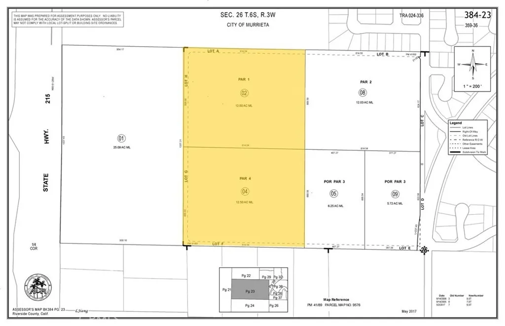
The subject property consists of two adjoining parcels, each measuring 12.5 acres, totaling +/-25 acres of undeveloped land. The site forms a rectangular shape with a length and width of approximately 1,300 feet by 840 feet and has little to no sloping or topography. The property is located in northeast Murrieta, just to the east of the I-215 freeway where the city has plans to add a future freeway on-and-off ramp at Keller Road. It sits between Loma Linda University Medical Center, who have expansion plans to the south of the property, and Kaiser Permanente Hospital which are both located along Antelope Road. There are newly constructed residential communities directly to the east of the property, with more in the planning phase on both sides of the I-215 freeway. Per the Eastern Municipal Water District, there are water and sewer lines that run through Antelope Road (west) as well as Whitewood Rd (east). PRICE REDUCTION TO $2M. Ownership targeting a quick-close.
Property Details
- Property Type
- Land
- Bedrooms
- 0
- Bathrooms
- 0
- Building Area
- 0 Sqft
- Living Area
- 0 sqft
- Year Built
- 0
- Status
- Active
- Days on Market
- 967
- Cumulative Days on Market
- 913
- Original Price
- $3,250,000
Location & Neighborhood
What's nearby 0 Brians Way, Murrieta, Ca 92563
Nearby Schools
- Monte Vista Elementary School0.1 mi
elementary
Parks & Recreation
- Mira Mosa Park0.2 mi
park
- Monte Vista Park0.2 mi
park
- Carson Park0.4 mi
park
POI data updated 2/22/2026
Murrieta Market Snapshot
461
Active Listings
$649K
Median Price
115
Avg Days on Market
Last updated: Jan 9, 2026
Keep Browsing
Based on information from California Regional Multiple Listing Service, Inc. as of the date of this data. This information is for your personal, non-commercial use and may not be used for any purpose other than to identify prospective properties you may be interested in purchasing.
$2,000,000