

1 / 1
$55,000
0 Helendale, Adelanto, Ca 92301
0Beds
524Days Listed
9Lot Sq Ft
Listed by Mehdi Mostaedi, NAI Capital, Inc. | 760-559-6807
About This Property
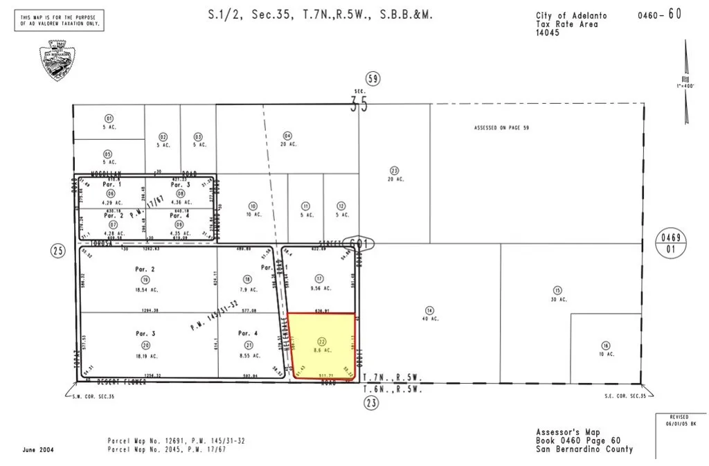
8.6 acres of unimproved residential land at the corner of Desert Flower and Helendale Rd in Adelanto; APN: 0460-601-22. Zoned Desert Living (DL-9) this lot permits for the development of 1 dwelling unit per 9 acres. This location is also within a Qualified Opportunity Zone and eligible for potential tax benefits. This site abuts the Southern California Logistics Airport. The Airport recently completed approximately 4MM square ft of expansion and is now home to major global leaders of industry such as Amazon, Boeing, GE Aviation, Kuerig Dr. Pepper, M&M/Mars, Newell Rubbermaid, and more. As an extension of the Inland Empire, the High Desert continues to grow with millions of square feet of planned industrial and tens of thousands of housing units under construction. Buyer to verify all information contained herein. Agent and their representatives are not responsible for the accuracy of these claims.
Property Details
- Property Type
- Land
- Bedrooms
- 0
- Bathrooms
- 0
- Building Area
- 0 Sqft
- Living Area
- 0 sqft
- Year Built
- 0
- Status
- Active
- Days on Market
- 524
- Cumulative Days on Market
- 484
- Original Price
- $70,000
Location & Neighborhood
Local schools, parks, transit, and amenity information is being gathered for this listing. Check back soon for detailed neighborhood insights.
Adelanto Market Snapshot
483
Active Listings
$125K
Median Price
280
Avg Days on Market
Last updated: Jan 23, 2026
Keep Browsing
Based on information from California Regional Multiple Listing Service, Inc. as of the date of this data. This information is for your personal, non-commercial use and may not be used for any purpose other than to identify prospective properties you may be interested in purchasing.
$55,000