0 Calle El Clavelito/3227016011, Green Valley, Ca 91390 - Photo 1 of 4, Green Valley, CA
1 / 4
$38,000

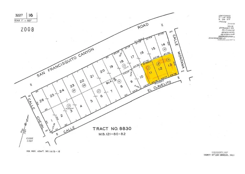
0 Calle El Clavelito/3227016011, Green Valley, Ca 91390

0Beds
0
401Days Listed

About This Property

Looking to build your dream home? Green Valley is a beautiful county location and still close to the city. Santa Clarita is approximately 16 miles south and Palmdale/Lancaster 15-17 miles north east. This rare opportunity to acquire 3 adjacent lots (approx 1/3 acre), paved roads and located on a corner with easy access. This quaint community offers two local markets with gas stations, restaurant and community center. Buyer to make their own independent investigations including but not limited to access, water, costs for development, zoning, environmental & earthquake zones, etc.

Property Location

Map

Property Details

Property Type
Land
Bedrooms
0
Bathrooms
0
Building Area
0 Sqft
Living Area
0 sqft
Year Built
0
Status
Active
Days on Market
401
Cumulative Days on Market
360
Original Price
$40,000

Location & Neighborhood

Local schools, parks, transit, and amenity information is being gathered for this listing. Check back soon for detailed neighborhood insights.

Green Valley Market Snapshot

20

Active Listings

$44K

Median Price

315

Avg Days on Market

Last updated: Feb 21, 2026

Listed by

Teri Gordon, Teri Gordon Real Estate · 661-917-3547

Based on information from California Regional Multiple Listing Service, Inc. as of the date of this data. This information is for your personal, non-commercial use and may not be used for any purpose other than to identify prospective properties you may be interested in purchasing.

$38,000