




+20 photos

1 / 25
$489,000
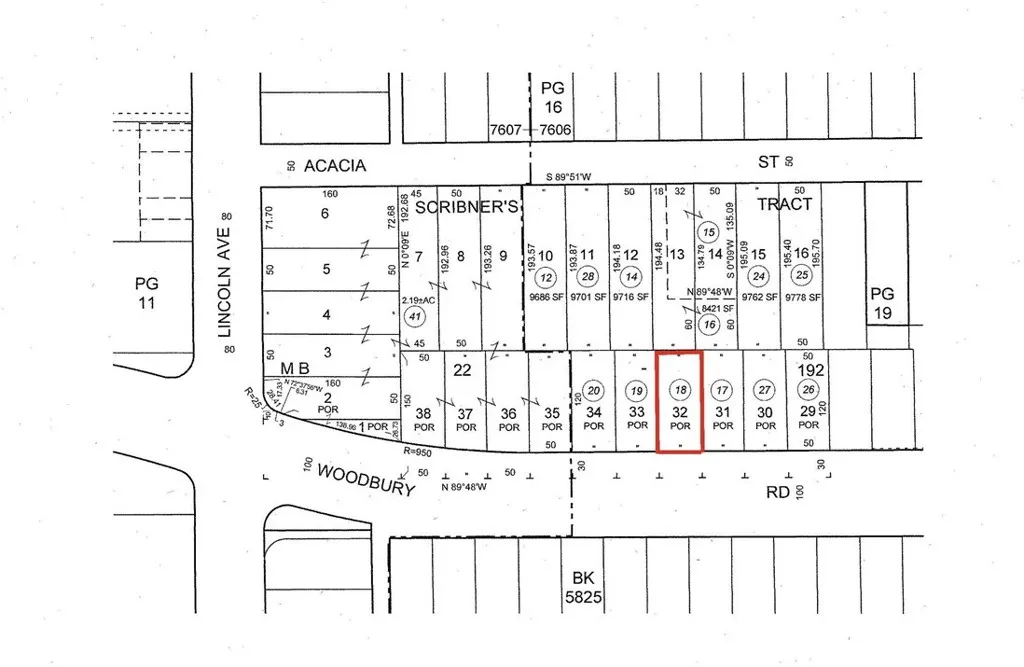
343 W Woodbury, Altadena, CA 91001
0Beds
119Days Listed
Listed by Stephanie Vitacco, Equity Union | 818-298-6458 | MLS# SR25252854
About This Property
Dont miss this exceptional opportunity to build in one of Altadenas most desirable foothill neighborhoods. Set on a 6,073 sq ft parcel (approx. 50 x 120) at 343 W Woodbury Rd, this R-1 zoned lot previously housed a residence lost in the January 2025 Eaton Fire, which impacted the surrounding area. Now cleared and ready for redevelopment, it offers a blank canvas for homeowners, builders, and investors alikewhether the vision is to create a custom dream home or a sought-after new construction project in a high-demand market. All utilities, including water, power, gas, and sewer, are available at the street, and rebuilding must comply with Californias updated Wildland-Urban Interface (WUI) and fire-hardening standards, incorporating features such as ember-resistant vents, non-combustible siding, enclosed eaves, and Class A roofing. Los Angeles Countys current ADU regulations also allow for the addition of an Accessory Dwelling Unit, providing flexibility for multigenerational living, rental income, or increased property value. The lot sits within an established residential neighborhood with paved street access, curbs, and gutters, surrounded by ongoing rebuilds that reflect the communitys continued revitalization. Soil and foundation conditions are typical for the area, and the sites cleared status helps streamline the redevelopment process. With proximity to scenic hiking trails, local parks, and Altadenas charming shops and cafs, as well as easy access to Pasadena, JPL, and the 210 Freeway, the location combines lifestyle appeal with strong long-term appreciation potential.
Property Details
- Property Type
- Land
- Bedrooms
- 0
- Bathrooms
- 0
- Building Area
- 0 Sqft
- Living Area
- 0 sqft
- Year Built
- 0
- Status
- Active
- Days on Market
- 119
- Cumulative Days on Market
- 118
- Original Price
- $505,000
- MLS Number
- SR25252854
Location & Neighborhood
Local schools, parks, transit, and amenity information is being gathered for this listing. Check back soon for detailed neighborhood insights.
Price History
$489,000
Mar 3, 2026
↓ $16,000
-3.2%
Original List Price
$505,000
Altadena Market Snapshot
110
Active Listings
$750K
Median Price
114
Avg Days on Market
Last updated: Mar 1, 2026
Keep Browsing
Based on information from California Regional Multiple Listing Service, Inc. as of the date of this data. This information is for your personal, non-commercial use and may not be used for any purpose other than to identify prospective properties you may be interested in purchasing.
$489,000