




+10 photos

1 / 15
$749,900
0 Lynn, Big Bear Lake, CA 92315
0Beds
16Days Listed
Listed by Jason Saphire, Jason Saphire Broker | 909-494-1790
About This Property
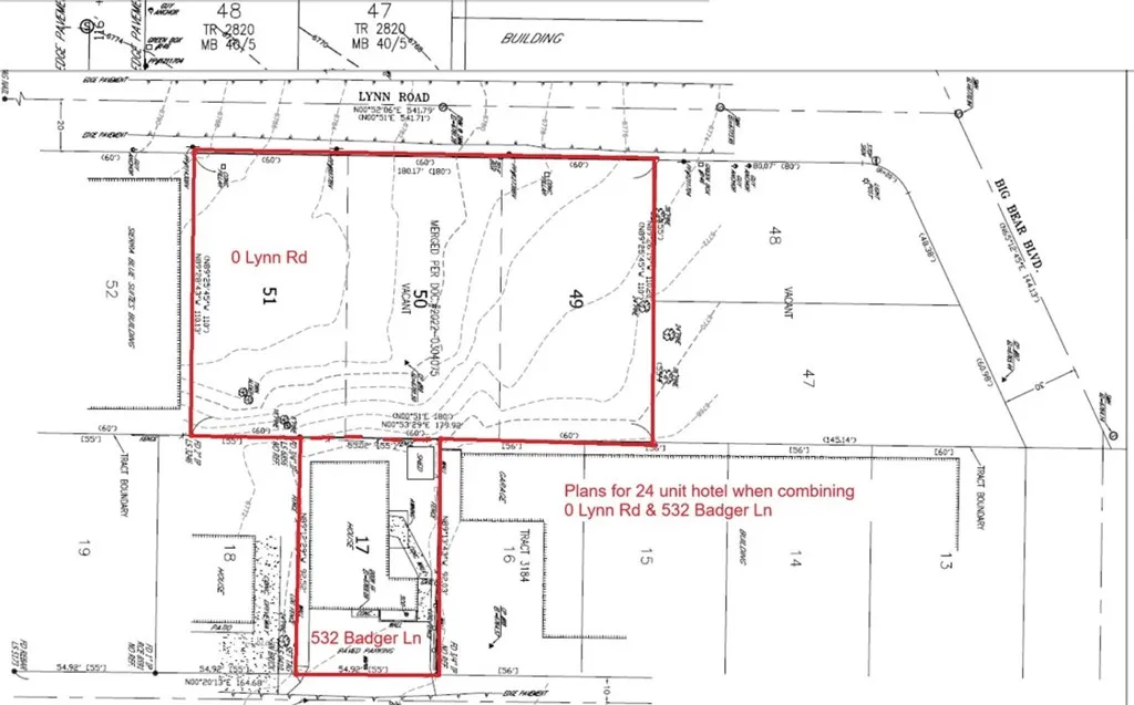
Exceptional development opportunity in Big Bear Lake within the highly desirable Village Specific Plan. This 19,800 sq.ft. commercial land parcel is zoned Commercial Lodging and offers rare flexibility for investors and developers seeking hospitality, residential, or retail potential in the heart of Big Bear Village. The property can be purchased on its own or combined with the adjacent lot at 532 Badger Ln (offered at $549,900) to unlock larger-scale development options. When assembled, preliminary plans are already in place for a 24-unit (16 one bedrooms/8 studios) hotel, as well as alternative plans for a 6-unit condo project, providing multiple viable paths depending on market strategy. The subject parcel alone can accommodate a 12-unit hotel with preliminary plans completed, or a 5-unit condo development, offering flexibility for phased or smaller-scale projects. Once built, upper-level and second-story units are anticipated to enjoy lake views, further enhancing long-term value and guest appeal. A perc test was completed in 2023, adding further value and reducing pre-development uncertainty. The location is a major highlight, just steps from the lake and a short walk to Pine Knot Ave, restaurants, shops, and entertainment, making it ideal for lodging, residential, or visitor-serving uses. In addition to hotel and condo development, the Village Specific Plan allows for a variety of other potential uses including residential, retail, restaurants, and related commercial uses, subject to approval. Buyer to conduct all due diligence with the planning commission and applica
Virtual Tour
Property Details
- Property Type
- Land
- Bedrooms
- 0
- Bathrooms
- 0
- Building Area
- 0 Sqft
- Living Area
- 0 sqft
- Year Built
- 0
- Status
- Active
- Original Price
- $749,900
Location & Neighborhood
What's nearby 0 Lynn, Big Bear Lake, CA 92315
Nearby Schools
- Big Bear Elementary School0.4 mi
elementary
Parks & Recreation
- Rotary Park0.2 mi
park
- Veterans Park0.3 mi
park
- 0.3 mi
Transit Access
- 0.3 mi
Local Amenities
Dining
- Sweet Basil Bistro65 yrd
- Village Pizza0.1 mi
Coffee & Cafes
- Tea & Coffee Exchange0.1 mi
POI data updated 2/16/2026
Last updated: Feb 16, 2026
Keep Browsing
Based on information from California Regional Multiple Listing Service, Inc. as of the date of this data. This information is for your personal, non-commercial use and may not be used for any purpose other than to identify prospective properties you may be interested in purchasing.
$749,900