

1 / 1
$37,000
0 Aka Mile Hi, Julian, CA 92036
0Beds
39Days Listed
Listed by Susan Hardin, CENTURY 21 EXPERIENCE | 951-733-3559 | MLS# CV26016577
About This Property
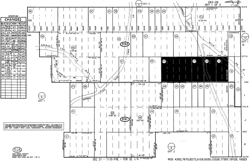
Lucky land opportunity in Julian, California, which is in San Diego County. These lots are located in the Harrison Park neighborhood and is about 60 miles to San Diego airport and 100 miles to Ontario airport. Street access by one of the lots and the three adjoining lots are included in the purchased for a total lot size of 18,731 square feet. Parcel numbers are 293 092 15 00,293 092 14 00, 293 092 13 00 and 293 092 43 00. Latitude and longitude coordinates are: 33.024873,-116.568715.
Property Details
- Property Type
- Land
- Bedrooms
- 0
- Bathrooms
- 0
- Building Area
- 0 Sqft
- Living Area
- 0 sqft
- Year Built
- 0
- Status
- Active
- Original Price
- $37,000
- MLS Number
- CV26016577
Location & Neighborhood
Local schools, parks, transit, and amenity information is being gathered for this listing. Check back soon for detailed neighborhood insights.
Last updated: Feb 7, 2026
Keep Browsing
Based on information from California Regional Multiple Listing Service, Inc. as of the date of this data. This information is for your personal, non-commercial use and may not be used for any purpose other than to identify prospective properties you may be interested in purchasing.
$37,000